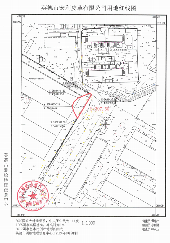
英德市宏利皮革有限公司PVC人造革、PU/PVC复合人造革生产项目用地位于英德市东华镇瀚和三路以北、瀚和大道以西地块,用地面积为307.5平方米。现该公司申请核发上述用地的建设用地规划许可证。根据《中华人民共和国城乡规划法》《广东省城乡规划条例》《清远市城乡规划局规划公示公布办法》等法律法规的有关规定,清远英德高新技术产业开发区管理委员会决定对上述事项进行批前网上公示,征求相关利益关系人的意见。
一、项目位置:英德市高新区英红片区怡景路以北,兴业路以西地块一
二、网上公示日期为10日:2025年10月10日至2025年10月19日
三、公示内容包括:批前的项目用地范围
四、公示方式和地点:英德市人民政府网
五、详细内容可到清远英德高新技术产业开发区管理委员会咨询
咨询电话:(0763)2630331
凡是对以上公示内容有意见或建议的,可在公示之日起10日内向清远英德高新技术产业开发区管理委员会提出申述或书面建议。逾期未提出的,视为放弃上述权利。清远英德高新技术产业开发区管理委员会将按程序核发建设用地的建设用地规划许可证,本公示不代表清远英德高新技术产业开发区管理委员会已批准其申请。

示附图1
2025年10月10日