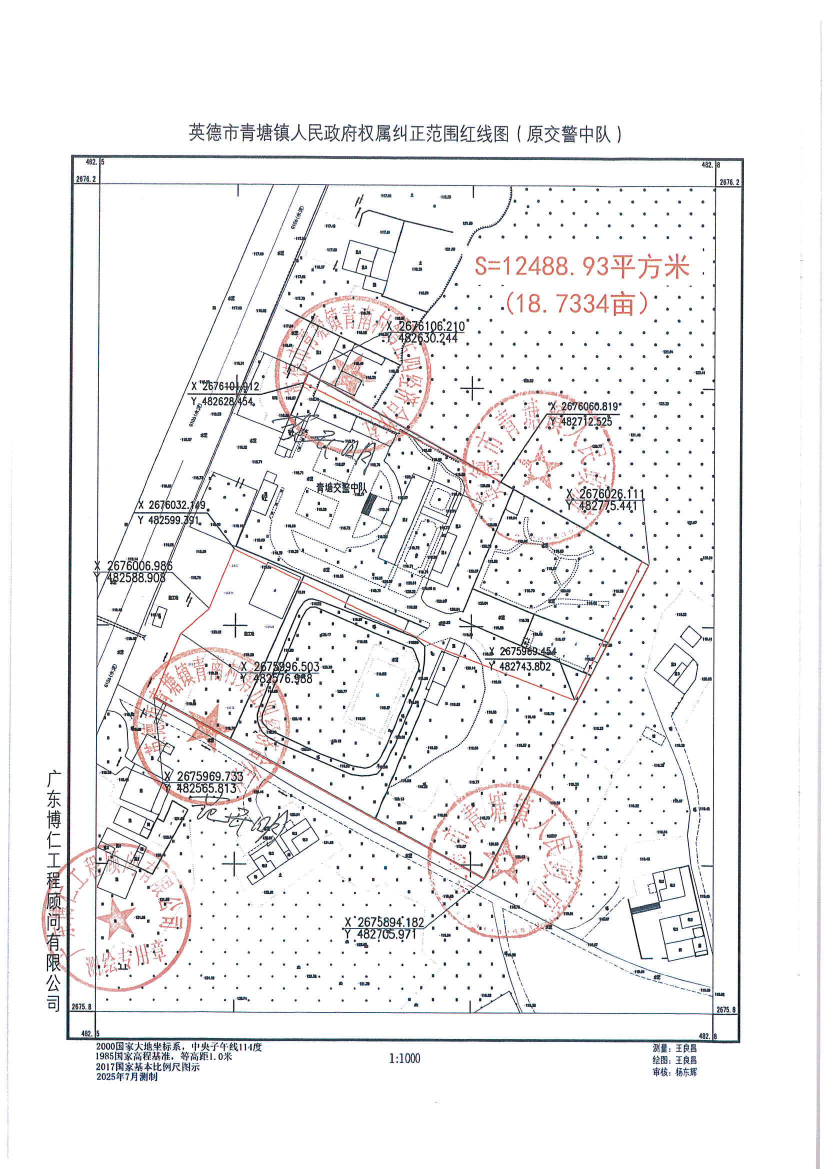
英德市青塘镇人民政府向我局申请更正登记位于英德市青塘镇青南村的一宗国有土地(具体位置见附图),宗地面积12488.93平方米。上述土地在农村集体土地所有权调查确权时,误将其指界为英德市青塘镇青南村第五四经济合作社农民集体所有。经相关权利人实地指认,上述土地实际属于英德市青塘镇人民政府控制的国有土地,英德市青塘镇青南村第五四经济合作社表示认可。现对拟申请权属更正情况进行公告,如对公告有异议者,请在公告后15个工作日内向我局提出书面意见,若无异议,我局将予以更正登记。
英德市自然资源局
2025年12月4日
