您的当前位置 : 首页 > 政务公开 > 通知公告
分享到:
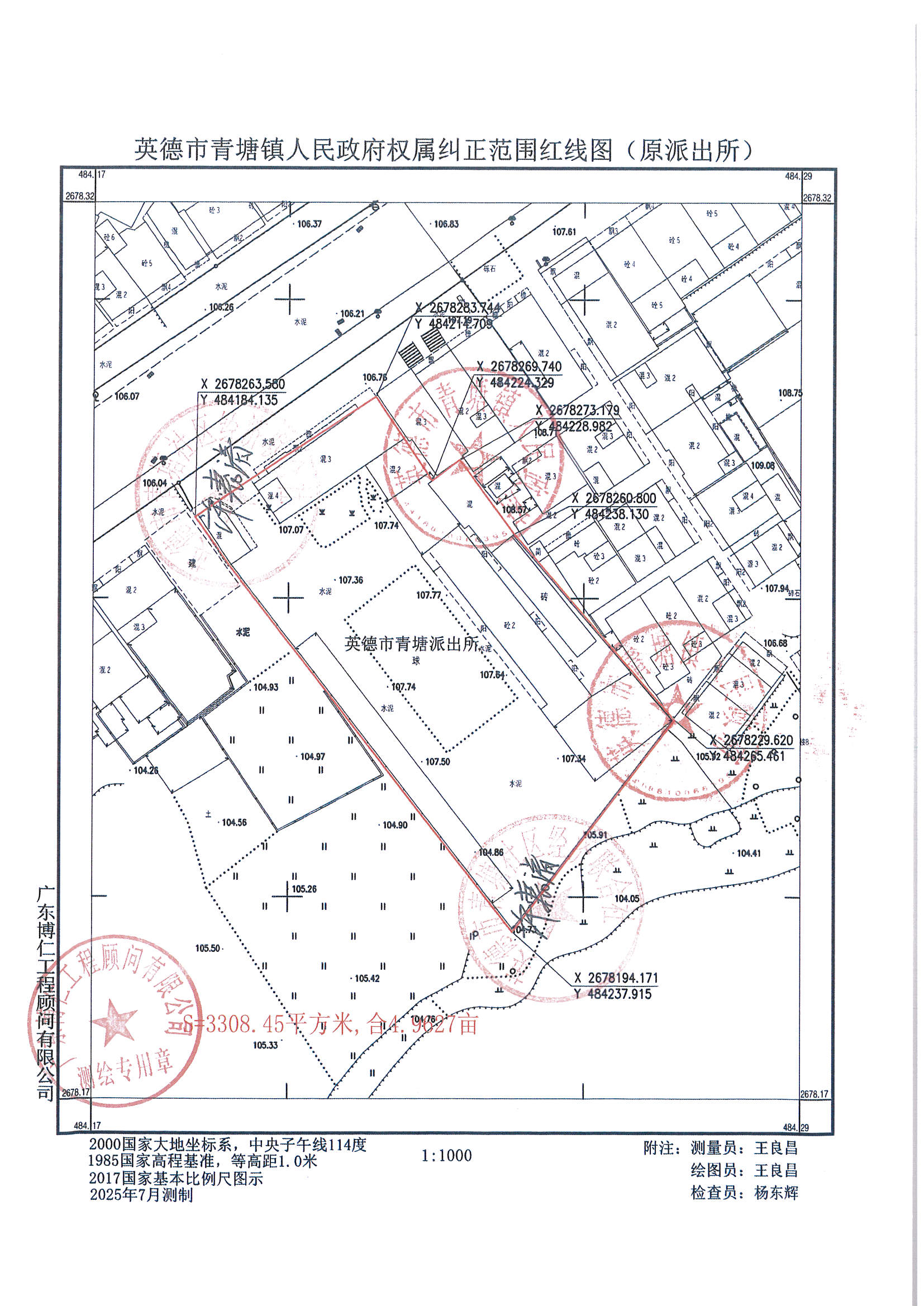
土地所有权更正登记公告 英自然资确公告〔2025〕251号
  • 2025-12-04 11:29
  • 来源: 英德市自然资源局
  • 发布机构:
  • 【字体:    

  英德市青塘人民政府向我局申请更正登记位于英德市青塘青塘社区的一宗国有土地(具体位置见附图),宗地面积3308.45平方米。上述土地在农村集体土地所有权调查确权时,误将其指界为英德市青塘青塘经济联合社农民集体所有。经相关权利人实地指认,上述土地实际属于英德市青塘人民政府控制的国有土地英德市青塘镇青塘经济联合社表示认可。现对拟申请权属更正情况进行公告,如对公告有异议者,请在公告后15个工作日内向局提出书面意见,若无异议,我局将予以更正登记

 



 英德市自然资源局                

  2025124日                 



宗地图.jpg

  

扫一扫在手机打开当前页
相关信息
主办 : 英德市人民政府  承办 : 英德市人民政府办公室  网站标识码 : 4418810020  粤ICP备09167971号   联系我们   网站地图 
站长统计

公安网备44188102000078号   地址:英德市金子山大道一号路新行政中心综合楼