您的当前位置 : 首页 > 政务公开 > 通知公告
分享到:
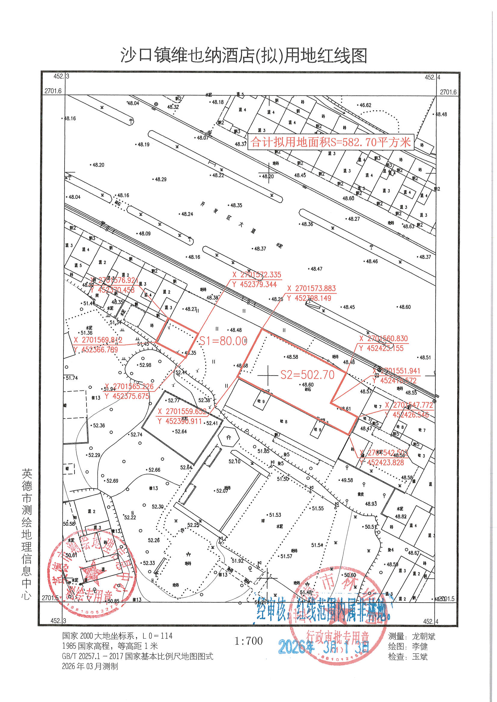
审核土地权属公告 英自然资确公告〔2026〕33号
  • 2026-03-13 09:51
  • 来源: 英德市自然资源局
  • 发布机构:
  • 【字体:    

  根据沙口镇人民政府的申请,我局对位于沙口镇开发区大道的2宗土地进行了权属调查经调查,上述2宗地面积585.4平方米,属国有土地现对该土地权属情况进行公示,如有对上述土地权属有异议者,请在公告后15个工作日内向局提出书面意见,若无异议,我局将认定属于国有土地




  英德市自然资源局                

  2026313日                 

          


  公开方式:主动公开

扫一扫在手机打开当前页
相关信息
主办 : 英德市人民政府  承办 : 英德市人民政府办公室  网站标识码 : 4418810020  粤ICP备09167971号   联系我们   网站地图 
站长统计

公安网备44188102000078号   地址:英德市金子山大道一号路新行政中心综合楼